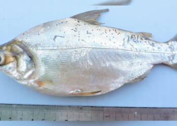
Peces del río Paraná: Potamorhina squamoralevis
En Argentina la familia Curimatidae está representada por 11 especies distribuidas en 5 géneros, Curimatella, Potamorhina y Psectrogaster presentan una ...
Read moreEn Argentina la familia Curimatidae está representada por 11 especies distribuidas en 5 géneros, Curimatella, Potamorhina y Psectrogaster presentan una ...
Read moreDiario Primera Edición
Corrientes 2434, Posadas, Misiones
Todos los derechos reservados © 2022