El huracán Milton podría ser “la peor tormenta en Florida en un siglo”, advirtió este martes el presidente estadounidense Joe Biden. Y llamó a abandonar de inmediato las zonas en riesgo.
“Hay que evacuar ahora, ahora, ahora”, dijo Biden sobre zonas de este estado del sudeste del país donde se ha pedido a los habitantes que desalojen sus hogares. “Es una cuestión de vida o muerte” porque es una tormenta potencialmente “devastadora”, añadió.
El presidente pospuso su viaje al extranjero esta semana debido al huracán Milton, según dos fuentes familiarizadas con la planificación.
Biden tenía previsto partir hacia Berlín el jueves y luego viajar a Angola en el sur de Africa, donde se quedaría hasta el 15 de octubre. Sería la primera vez que el demócrata viajaría al continente africano como presidente.

“Dada la trayectoria proyectada y la fuerza del huracán Milton, el presidente Biden está posponiendo su próximo viaje a Alemania y Angola para supervisar los preparativos y la respuesta al huracán, además de la respuesta en curso a los impactos de la tormenta en todo el sureste”, dijo la secretaria de prensa de la Casa Blanca, Karine Jean-Pierre, en un comunicado.
Los meteorólogos y funcionarios públicos han advertido sobre los efectos de Milton y han estado alentando fuertemente a los residentes de Florida en las áreas de impacto a evacuar.
Alerta
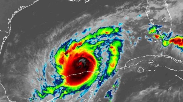
El “extremadamente peligroso” huracán Milton, de categoría 4, aumentó este martes de tamaño mientras se aproxima a la costa oeste de Florida, donde se pronostica que impactará el miércoles por la noche en la zona de la Bahía de Tampa, informó el Centro Nacional de Huracanes (NHC, en inglés) de EE.UU.
En su boletín de las 11 hora local, el NHC advirtió además que “hoy es el último día para que los residentes de Florida se preparen” en sus hogares o evacúen las zonas señaladas, si así lo indican las autoridades locales.
Milton, un huracán que se fortaleció en tiempo récord en el Golfo de México hasta alcanzar la categoría 5, la mayor en la escala Saffir-Simpson, se rebajó este martes a la categoría 4 y se espera que su centro toque tierra el miércoles por la noche cerca de la bahía de Tampa, en el condado de Hillsborough (costa oeste de Florida).
El sistema se encuentra localizado a 205 kilómetros al noreste de Progreso (México) y a 835 kilómetros al suroeste de Tampa, en la costa oeste central de Florida.
Milton presenta vientos máximos sostenidos de 240 kilómetros por hora y se desplaza con una velocidad de traslación de 15 kilómetros por hora y se espera que gire hacia el noreste.
Según la trayectoria pronosticada por el NHC, el centro de Milton se moverá a través del este del Golfo de México y se acercará el miércoles a la costa central-oeste de Florida.
Los meteorólogos señalaron que “es probable que el centro toque tierra a lo largo de la costa-central oeste de la península floridana el miércoles por la noche” y se desplace hacia el este-noreste a través del centro del estado hasta el jueves.
Si bien se esperan fluctuaciones en la intensidad, se pronostica que Milton “seguirá siendo un huracán extremadamente peligroso hasta que toque tierra en Florida”, advirtieron.
Preocupa mucho la marejada ciclónica que puede causar Milton en la bahía de Tampa, de entre 3 y 4,5 metros. Los vientos con fuerza de tormenta tropical podrían llegar a la zona de la bahía de Tampa tan pronto como el miércoles por la mañana.
Los condados de Hillsborough, donde se encuentra la bahía de Tampa, Pinellas y Pasco, Hernando, Manatee y Sarasota en la costa oeste de Florida, emitieron ya una orden de evacuación obligatoria para diversas zonas, así como para todas las casas móviles, ante la llegada del huracán Milton.
“Se espera una gran área de marejada ciclónica destructiva con inundaciones altas a lo largo de una porción de la costa oeste y centro de Florida, por lo que “debe evacuar hoy si lo ordenan las autoridades”, subrayó el NHC.
Según la Administración Nacional de Océanos y Atmósfera de Estados Unidos (NOAA, en inglés), la temporada de huracanes en el Atlántico, que comenzó oficialmente el 1 de junio, podría tener una actividad “por encima” del promedio, con entre 8 y 13 huracanes, de los cuales entre 4 y 7 serían de categoría mayor.
(Fuente: Clarín, AFP y EFE)







