Peces del río Paraná: Pinirampus argentina
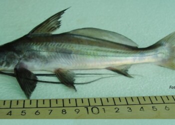
Clasificación Taxonómica Orden: SILURIFORMES Familia: Pimelodidae Especie: Pinirampus argentina Pinirampus argentina es la única especie del género Pinirampus presente en ...
Read moreClasificación Taxonómica Orden: SILURIFORMES Familia: Pimelodidae Especie: Pinirampus argentina Pinirampus argentina es la única especie del género Pinirampus presente en ...
Read moreDiario Primera Edición
Corrientes 2434, Posadas, Misiones
Todos los derechos reservados © 2022